Vào tối qua, sức gió vùng tâm siêu bão Sinlaku đã tăng lên 105 kts, tương đương cấp 16, giật trên cấp 17.
Đây là cơn bão đầu tiên trong năm 2026 đạt cường độ này, đồng thời là lần đầu xuất hiện trong tháng 4 kể từ bão Surigae (2021), và chỉ là lần thứ ba kể từ năm 1977 có siêu bão xuất hiện trong tháng 4 trên vùng biển Tây Bắc Thái Bình Dương.
Hiện tại, Sinlaku cũng là cơn bão mạnh nhất thế giới trong năm 2026, với áp suất trung tâm 920 hPa (tính đến thời điểm hiện tại), vượt qua bão Maila ở khu vực Úc (924 hPa).
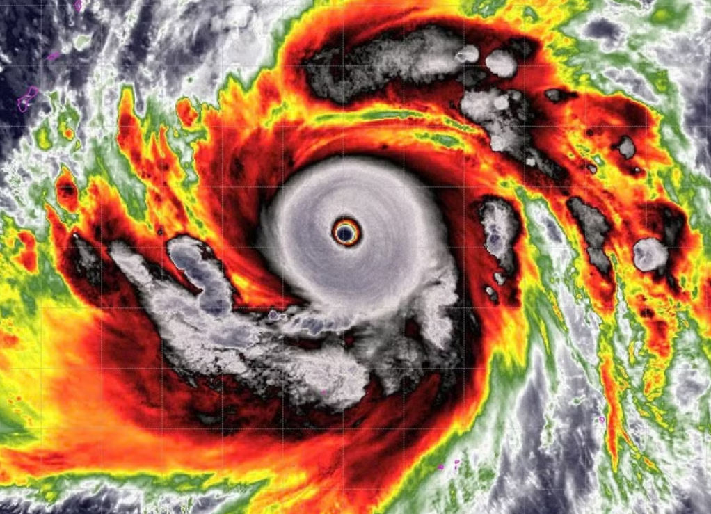
![]() |
| Mắt bão Sinlaku chụp từ vệ tinh |
Đến rạng sáng nay 13/4, siêu bão Sinlaku còn cách Philippines gần 3.000km.
Theo dự báo, sau khi mạnh lên thành siêu bão, siêu bão Sinlaku sẽ đổi hướng di chuyển lên phía Bắc, sau đó nhiều khả năng sẽ tiếp tục đổi hướng một lần nữa thành hướng Bắc Đông Bắc vào khoảng ngày 16-17/4 và di chuyển tới vùng biển phía Đông của Nhật Bản và cường độ sẽ giảm cấp dần.
Hiện tại các dự báo bão đều cho thấy, siêu bão Sinlaku sẽ không có khả năng đi vào khu vực Biển Đông.
Theo dự báo từ đài khí tượng Nhật Bản, siêu bão Sinlaku vào sáng nay 13/4 cường độ giật trên cấp 17. Cơ quan khí tượng này đã phải dùng trạng thái hung bạo (violent) để miêu tả về cường độ của siêu bão Sinlaku. Cơ quan khí tượng Nhật Bản cũng dự báo, siêu bão Sinlaku không đi vào Biển Đông.



Thông tin bạn đọc
Đóng Lưu thông tin